LOADING

981 Pelham Street Fonthill, Ontario L3C 3E2

Acreage

$8,999,900

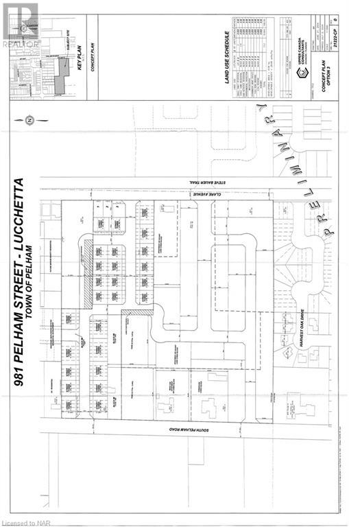
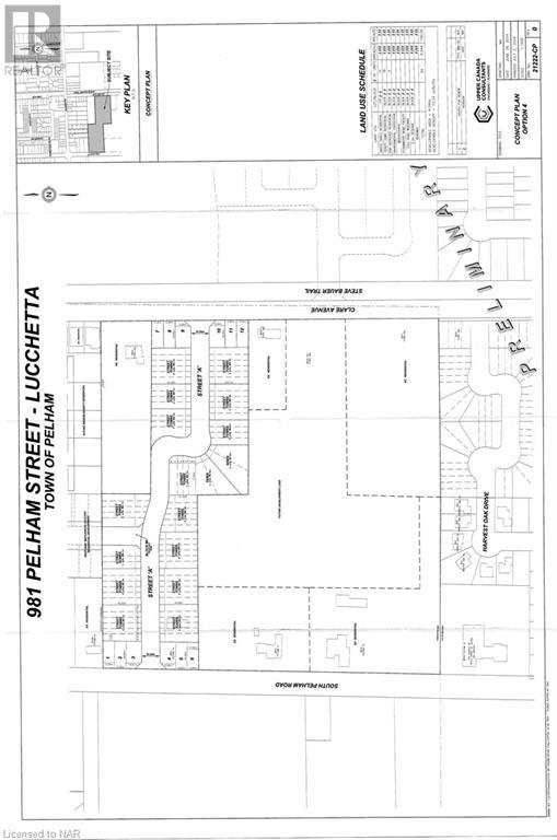
Attention Developers!! Prime land for sale in Fonthill within the Urban Boundary. 10 acres stretching from Pelham St to Clare Ave. Preliminary drawings are available, options include a total of 117 units or 94 units ( mix of singles, street towns, semi detached). VTB will be considered. The zoning is currently agricultural although it is designated for development in the official plan for the Region and a secondary plan is now in the works by the Town of Pelham. Subdivision application would follow (id:38480)

Property Details

MLS® Number 40671788
Property Type Vacant Land
AmenitiesNearBy Public Transit, Schools

Building

BasementType None

Land

Acreage Yes
LandAmenities Public Transit, Schools
SizeFrontage 345 Ft
SizeTotalText 10 - 24.99 Acres
ZoningDescription A1

https://www.realtor.ca/real-estate/27612664/981-pelham-street-fonthill

Shopping Basket